4 RESIDENTIAL PLOT AT NYARUGUNGA,KICUKIRO
Apr 25th, 2026 Real estate Kicukiro 1 view Reference: 1450440,000,000 FRw
Location: Kicukiro
Price: 40,000,000 FRw Negotiable
ooking for the perfect spot to build your dream home or investment? This is it!
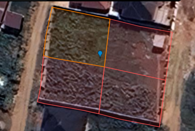
📍 Location: Nyarugunga (Kuba Demobe) – A developed, peaceful residential neighborhood.
⚡ Infrastructure: Fully serviced with easy access to roads, water, and electricity. Close to hospital facilities.
🏡 Zoning (R3): Perfect for a stylish Townhouse or a modern Apartment block.
📐 Size: Each plot is 305sqm+ (Total block of 4 plots: 1,200sqm+).
🧱 Bonus Feature: The site is already fenced with Ruliba bricks—saving you time, money, and ensuring immediate security!
⚡ Infrastructure: Fully serviced with easy access to roads, water, and electricity. Close to hospital facilities.
🏡 Zoning (R3): Perfect for a stylish Townhouse or a modern Apartment block.
📐 Size: Each plot is 305sqm+ (Total block of 4 plots: 1,200sqm+).
🧱 Bonus Feature: The site is already fenced with Ruliba bricks—saving you time, money, and ensuring immediate security!
💰 UNBEATABLE PRICES:
- Single Plot (1): 40,000,000 RWF
- Full Block (4 Plots): 150,000,000 RWF (Big Discount!)
Don’t wait! These plots are priced to sell fast. 🏃💨
📞 Call/WhatsApp now to book a viewing: [ [***] ]
Additional Details
Land type
Residential Land
Size sq.m.
305















